
Los árboles más antiguos del planeta tenían una morfología más compleja que los existentes en la actualidad, según revela un estudio elaborado por investigadores de la Universidad de Cardiff, que fue divulgado el martes por la revista científica Proceedings of the National Academy of Sciences (PNAS).
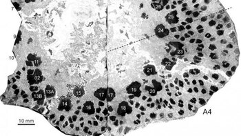
La investigación se basa en los descubrimientos llevados a cabo en restos fosilizados de árboles de la familia Cladoxylopsida, de 374 millones de años de antigüedad, en los que se puede apreciar un intrincado sistema de filamentos leñosos.

Los científicos observaron en un grupo de troncos petrificados que estos filamentos, que reciben el nombre de xilema y cuya función es la conducción de líquidos en las plantas vasculares, conformaban toda una red interconectada que se propagaba por la parte exterior de la planta.
En las familias arbóreas existentes en la actualidad, el xilema forma un único cilindro cuyo crecimiento, año a año, se produce en forma de anillo justo bajo la corteza.
En el caso de los fósiles, sin embargo, este desarrollo era muy diferente, puesto que cada planta tenía diferentes filamentos que, a su vez, desarrollaron sus propios anillos.

De esta forma, al crecer los distintos filamentos se desarrollaba también la planta, expandiendo así el volumen de su tronco.
Además, según concluye el estudio, las distintas interconexiones entre los xilemas tenían la capacidad de reubicarse con el fin de adaptarse al crecimiento del árbol.
"No ha existido, que yo sepa, ningún otro árbol que haya hecho algo tan complejo como esto. El árbol era capaz de arrancarse el esqueleto y colapsarse bajo su peso, mientras permanecía vivo y crecía en todas direcciones para convertirse en la planta más dominante de su tiempo", afirmó el investigador de la Universidad de Cardiff, Chris Berry, uno de los coautores del estudio.
Con información de la agencia EFE
LEA MÁS:
El increíble "árbol Frankenstein", del que crecen 40 tipos de frutas
Encontraron al árbol más longevo del mundo, tiene más de 9.500 años de antiguedad
Últimas Noticias
Lotería de Manizales resultados miércoles 21 de enero: quién ganó el premio mayor de $2.600 millones
Este popular sorteo ofrece a sus apostadores la oportunidad de ganar uno de los más de 50 premios principales

Resultados de la Tinka de este miércoles 21 de enero: todos los números ganadores del último sorteo
Como cada miércoles, se comparten los números ganadores del sorteo millonario de la Tinka. Estos son los ganadores del sorteo 1266

Resultados del Gana Diario: números ganadores del miércoles 21 de enero de 2026
Como cada miércoles, La Tinka publica los números ganadores del sorteo millonario del Gana Diario. Estos son los resultados del sorteo 4468

Qué se celebra el 22 de enero en el Perú: un recorrido por los hitos que definieron la institucionalidad y la identidad nacional
Los acontecimientos conmemorados este día permiten analizar cómo los ámbitos político, cultural y científico han forjado pilares esenciales para el desarrollo y la autonomía del Estado peruano a lo largo del tiempo

Última hora de los accidentes de tren en Adamuz y Rodalies, en directo: mayor frecuencia de transporte público y sin peajes ante el corte de la AP-7 en Cataluña
Óscar Puente descarta “la falta de controles” como la causante del accidente del domingo pasado en Adamuz, Córdoba



