
Este lunes, el huracán Dorian azotó la isla de Grand Bahama provocando a su paso una "destrucción extrema". Y desde EEUU, los ojos de los residentes y de las autoridades continúan monitoreando al segundo cada avance del monstruoso huracán de categoría 5 hacia la península de Florida.
Aunque hace algunos días los meteorólogos estudiaban la posibilidad de que Dorian girara hacia el Atlántico tras abandonar Puerto Rico, ahora parece claro que la tormenta se dirige hacia el oeste arrastrándose hacia Florida, y sus bandas exteriores ya se extienden sobre la zona este de la península.
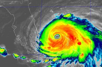
EN VIVO: Florida espera al poderoso huracán Dorian
"Florida, tienen un huracán masivo de categoría 5 moviéndose en su dirección [..] Es un huracán enorme que ha provocado mucha destrucción a su paso por Bahamas y ahora avanza hacia el oeste dirigiéndose justo hacia ustedes", explicaron en The Weather Channel.
"Y aunque ahora se espera que de un giro hacia el norte y les evite un embiste directo, aún sufrirán los efectos del huracán mientras se desliza por la costa", añadieron.
En su informe de las 12:00 pm, el Centro Nacional de Huracanes advirtió que Dorian ya se ubica a 170 kilómetros de Florida, pero se mueve lentamente, a tan sólo dos kilómetros por hora. La intensidad de sus vientos ha descendido tras su avance por Grand Bahamas, y ahora se registran velocidades máximas de 250 kilómetros por hora.
Zonas de Florida bajo "Aviso de Huracán"

Según los pronósticos, tras dejar atrás las Islas Bahamas Dorian avanzará hacia Florida y girará en dirección norte. Desde que se formara como tormenta tropical hace más de una semana, el Centro Nacional de Huracanes alertó de la dificultad de definir con precisión la trayectoria que seguiría, y dibujó un "cono de incertidumbre" para señalar todas las zonas de EEUU y Bahamas que estaban amenazadas por Dorian.
Sin embargo, su movimiento en las últimas horas ha permitido esbozar un pronóstico más exacto, y aunque aún no puede saberse con certeza si tocara tierra o avanzará paralelo a Florida en las próximas horas, el Centro Nacional de Huracanes sí emitió ya un aviso de huracán para "la costa este de Florida" hasta la frontera de los condados de Flager y Volusia. Esto implica que las zonas afectadas sufrirán "condiciones de huracán", incluso si no llega a tocar tierra.
Por su parte, "la vigilancia de huracán ha sido extendida hacia el norte hasta Atlamaha Sound Georgia". En estas zonas podrían darse condiciones de huracán en las 48 horas posteriores al aviso, publicado a las 13:00 pm ET.


"Mientras continuamos monitoreando #Dorian, todos los residentes en Florida deberán seguir los reportes locales y las órdenes de evacuación. Estamos preparados para desplegar activos según sea necesario y continuaremos controlando el tráfico y los niveles de combustible a medida que más condados estén bajo vigilancia y advertencia de huracán", escribió en su cuenta de Twitter el gobernador del estado, Ron DeSantis.
La llegada de Dorian llevó a suspender distintos servicios en Florida este lunes. El aeropuerto internacional de Palm Beach anunció que no estará operativo este dos de septiembre, mientras que los de Fort Lauderdale y Miami siguen con detenimiento el curso del huracán para decidir si también cierran durante la jornada del lunes. Por su parte, el puerto Everglades también anunció la suspensión de su actividad.
Así está Miami a horas de la llegada de Dorian (Fernando Morales)
Lluvias y vientos en EEUU
Según el último reporte del Centro Nacional de Huracanes vientos con fuerza de tormenta tropical golpearán Georgia y Carolina del Sur durante la jornada del miércoles, para llegar el jueves a Carolina del Norte.
En cuanto a las lluvias, se espera entre 3 y 6 pulgadas en la costa del Atlántico, desde la península de Florida hasta Georgia, y entre 5 y 10 pulgadas para los sectores costeros de las Carolinas.
Últimas Noticias
Amaranta Hank advirtió sobre el acoso en medios de comunicación tras el escándalo de Caracol: “Periodistas aprovechados y morbosos”
El incremento de testimonios sobre abusos en canales generó una discusión nacional acerca de la necesidad de protección a las trabajadoras y de reformas en las empresas

Tras los triunfos de River Plate y Boca Juniors, así quedaron las tablas de posiciones del Torneo Apertura
El Millonario venció a Estudiantes de Río Cuarto, mientras que el Xeneize superó a Instituto. Más temprano, Sarmiento le ganó a Aldosivi

Hytale sorprende con una gran actualización, mientras Minecraft prepara novedades para 2026
Mojang presentó una hoja de ruta repleta de novedades, entre las que destaca el anuncio de Minecraft Dungeons 2

Wingo vinculó la emergencia aérea presentada en Barranquilla con el posible impacto de un ave en el motor
La mañana del domingo, una aeronave que se dirigía a San Andrés debió regresar al aeropuerto Ernesto Cortissoz después de que la tripulación identificara una anomalía en un motor durante la etapa inicial del trayecto. La aerolínea ofreció alternativas a los pasajeros

Activan alerta amarilla en estas siete alcaldías de la CDMX por vientos fuetes con rachas para este domingo 22 de marzo
Se prevén rachas de casi 60 kilómetros por hora, de acuerdo a lo mencionado por Protección Civil de la Ciudad de México



