
Escondidos en lo profundo de la selva peruana y envueltos bajo un espeso follaje, los arqueólogos han descubierto una serie de estructuras olvidadas hace mucho tiempo entre las extensas ruinas de Machu Picchu.
Constituyen un sistema de canales hechos de bloques de piedra que abastecían de agua al complejo ceremonial de Chachabamba, un descubrimiento arqueológico que ayuda entender mucho mejor la vida en la sagrada ciudad de los Incas.
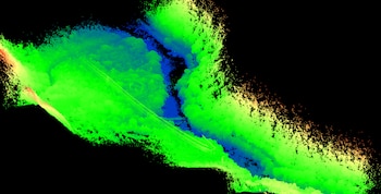
Cortar el follaje no es fácil, pero tales descubrimientos se están volviendo más comunes gracias a una combinación de dos tecnologías: láseres que pueden “ver a través” de las obstrucciones y drones que ayudan a los arqueólogos a explorar lugares a los que los humanos a veces no pueden llegar fácilmente.
Alrededor de una docena de pequeñas estructuras fueron identificadas a menos de 5 millas de los principales restos de la ciudad inca del siglo XV, en las afueras de un sitio ceremonial llamado Chachabamba, según un estudio publicado en la edición de enero del Journal of Archaeological Science.

Los científicos utilizaron un tipo de tecnología de detección remota conocida como detección y rango de luz, o lidar, que hace rebotar pulsos de láser en las superficies para detectar características y mapear sus contornos.
El escaneo Lidar, una herramienta relativamente nueva en arqueología, se está convirtiendo en una forma esencial para que los científicos estudien áreas que alguna vez fueron demasiado peligrosas o inaccesibles. En 2019, el escaneo láser reveló una enorme red de antiguas granjas mayas en una selva tropical en Belice. Años antes de eso, lidar ayudó a los arqueólogos a descubrir una ciudad perdida en Honduras.
Los descubrimientos de Machu Picchu, que incluyen partes de un sistema de agua que atravesaba el área, están brindando nuevos conocimientos sobre la civilización inca y el papel de los complejos ceremoniales en Machu Picchu.
“Solo personas muy privilegiadas podían llegar a Machu Picchu, porque era un lugar muy especial”, dijo Dominika Sieczkowska, subdirectora de organización y desarrollo del Centro de Estudios Andinos de la Universidad de Varsovia, quien dirigió la investigación a NBC. “Cuando ibas allí, tenías que parar en Chachabamba para tomar un baño espiritual para estar limpio y puro para llegar a Machu Picchu”.

Chachabamba, que se encuentra en el valle de Vilcanota, se centra en un altar principal de piedra rodeado por 14 baños, que según Sieczkowska probablemente se usaron para abluciones rituales. El agua al sitio fluía a través de una compleja red de canales alimentados por el río Urubamba.
El sitio es difícil de estudiar, porque el área está mayormente cubierta de maleza, con ruinas arqueológicas que se adentran en la selva. Para descubrir qué había debajo del dosel del bosque, Sieczkowska y científicos de la Universidad de Ciencia y Tecnología de Wroclaw en Polonia y el Ministerio de Cultura de Perú utilizaron drones equipados con láseres especiales para perforar el follaje.
Los escaneos lidar revelaron alrededor de 12 estructuras, todas dentro de unos 60 pies de la parte ceremonial principal de Chachabamba.
SEGUIR LEYENDO
Últimas Noticias
Censura y represión en Cuba: al menos 46 presos políticos detenidos en protestas históricas murieron en prisión
Una representante de Amnistía Internacional señaló que la privación de libertad en la isla es “una herramienta sistemática de castigo contra quienes ejercen derechos humanos”

Ecuador y Estados Unidos incautaron casi 2 toneladas de droga en altamar valorada en más de USD 40 millones
Un operativo bilateral permitió la detención de dos personas y la retención de decenas de bultos con sustancia ilícita. La acción estuvo enmarcada en la lucha para combatir las redes de tráfico que operan en la región

Alias “Diablo”, el criminal más buscado de Costa Rica, se oculta en la selva nicaragüense
Una recompensa de hasta 500.000 dólares ofrecida por Estados Unidos busca información que conduzca a la captura de Alejandro Arias Monge, señalado por autoridades como líder de una red de narcotráfico.

José Antonio Kast asume este miércoles la presidencia de Chile con promesas de mano dura contra el crimen y una agenda conservadora
El líder republicano asumirá el cargo a las 12:00 (hora local) en el Congreso Nacional de Valparaíso, en una ceremonia con más de 1.000 invitados. Entre los asistentes figuran el rey de España, Felipe VI, y el presidente argentino Javier Milei. También confirmaron su presencia varios mandatarios latinoamericanos

El Tribunal condena a seis integrantes de pandilla por expulsar a una familia en el occidente de El Salvador
La resolución judicial se emitió después de comprobar que los sujetos armados presionaron a los habitantes para desocupar la vivienda, luego de acusarlos de colaborar con agentes estatales y bajo amenazas persistentes de represalia



