
El huracán Gilberto se formó el 8 de septiembre de 1988 en el Océano Atlántico y su trayectoria incluyó las Islas de Barlovento, Jamaica y otras islas en el mar Caribe hasta llegar a Quintana Roo, donde cruzó la Península de Yucatán para seguir hasta Tamaulipas, como la ruta que en 2024 también sigue el ciclón tropical Beryl.
El huracán Gilberto tocó tierra en dos ocasiones en México, misma situación que el Servicio Meteorológico Nacional (SMN) prevé para Beryl a partir de la noche del jueves 4 de julio de 2024.
Gilberto impactó por primera vez el 14 de septiembre de 1988 cerca de Cancún y Cozumel, donde dejó severos daños sociales y económicos. Posteriormente se dirigió a las aguas del Golfo de México y tocó tierra nuevamente cerca de la ciudad de La Pesca, en el estado de Tamaulipas, el 16 de septiembre.
El Centro Nacional de Huracanes de Estados Unidos alertó que la fuerza de Beryl lo podría llevar hasta las costas de Tamaulipas después de su paso por Bacalar y Mahahual en la costa centro-sur de Quintana Roo.
Señaló que el jueves, #Beryl podría ser un #Huracán de categoría 1 ó 2, y de mantener su trayectoria oeste-noroeste, tocará tierra durante la noche del mismo día o en la madrugada del viernes, en la región centro-sur de #QuintanaRoo, con vientos superiores a 120 km/h. pic.twitter.com/TqNUYFIV8Y
— CONAGUA Clima (@conagua_clima) July 1, 2024
Hace casi 36 años, Gilberto alcanzó la categoría 5 en la escala Saffir-Simpson, por lo tanto causó en México daños graves en infraestructuras, viviendas y cultivos, así como la pérdida de vidas humanas.
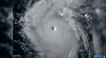
En cuanto al huracán Beryl, este lunes 1 de julio de 2024 alcanzó la categoría 5, no obstante, los pronósticos apuntan a que podría llegar a México con intensidad 1 o 2 y posteriormente alcanzaría Tamaulipas en categoría 1.
Son estas coincidencias las que despertaron los recuerdos de los sobrevivientes de aquél huracán Gilberto en 1988, no obstante, se debe tener claro que Beryl tiene sus particularidades, pues el Centro Nacional de Huracanes destacó que es un ciclón inusual y prematuro debido a la fuerza adquirida para ser el primero de la temporada.
Los sistemas de alertamiento y vigilancia meteorológica han cambiado de forma significativa a lo largo de tres décadas, por lo tanto ahora se puede pronosticar con mayor precisión su trayectoria, posible intensidad, con lo que autoridades de Protección Civil tienen la posibilidad de tomar medidas necesarias para salvaguardar a la población.
México espera doble impacto del huracán Beryl
El Servicio Meteorológico Nacional (SMN) de México informó este lunes sobre el impacto doble que se espera del huracán Beryl en las costas del sureste del país.
Alejandra Méndez, coordinadora general del SMN, detalló que Beryl tocaría tierra primero en la Península de Yucatán como huracán categoría 1 o 2 a finales de esta semana, y posteriormente se dirigirá hacia Veracruz y Tamaulipas.
El primer impacto del huracán se prevé para la noche del jueves o madrugada del viernes en Quintana Roo, mientras que el segundo golpe podría ocurrir entre la noche del domingo y el lunes siguiente, afectando los estados del Golfo de México entre Veracruz y Tamaulipas.
El huracán, primer fenómeno de la temporada 2024, continuará su trayectoria sobre el mar Caribe hasta este miércoles, cuando se espera que disminuya su intensidad y se degrade a categoría 2. Para el jueves, se espera que alcance la región como un huracán categoría 1 o 2 cerca de las costas de Quintana Roo.
Las bandas nubosas del huracán comenzarán a afectar a la Península de Yucatán desde el jueves, provocando lluvias torrenciales en Yucatán y Quintana Roo, lluvias intensas en Campeche, vientos de 110 a 130 km/h, y oleaje de entre cuatro a seis metros de altura.

Entre la noche del jueves y la madrugada del viernes, el centro del huracán se localizará en el centro-sur de Quintana Roo, antes de cruzar nuevamente hacia el Golfo de México como tormenta tropical con vientos de entre 63 y 119 km/h. Posteriormente, se espera que vuelva a impactar tierra en los estados de Tabasco y Veracruz.
Más Noticias
Reaparece José Ángel Bichir tras sufrir fuerte accidente por depresión: así luce el hijo del actor Odiseo Bichir
En las imágenes difundidas, el actor aparece con uno de sus brazos inmovilizado por un cabestrillo y evidencia de lesiones faciales

Tabla de Pagos Bienestar 2026: Estos son los montos actualizados que recibirás cada bimestre
Los apoyos económicos se actualizan y marcan diferencias clave según el programa y el perfil de los beneficiarios

A 4 años de la muerte de ‘Pancho Cachondo’: estas fueron las mejores propuestas como diputado del PAN que siguen vigentes
Durante sus años como legislador causó polémica por apoyar ideas que no iban con los principios de su partido, pero que apoyaron varias políticas públicas que perduraron hasta nuestros días

El día que Lucía Méndez recibió el ‘Azcarragazo’: secretos, favoritismos y traiciones en ‘Siempre en Domingo’
En la cúspide de su influencia, Emilio Azcárraga Milmo contactó a Raúl Velasco para solicitarle que apoyara a la cantante

Exgobernador Jaime Bonilla es vinculado a proceso en Baja California por contratos millonarios con empresa energética
Un convenio entre la administración estatal y la empresa Next Energy comprometía a la entidad a pagar 123 millones de pesos mensuales durante 30 años



