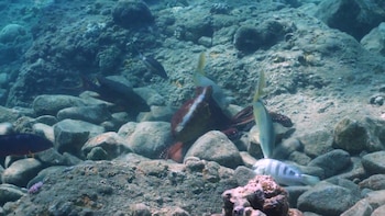
Un reciente estudio publicado en la revista Nature ha revelado comportamientos sociales inesperados en pulpos de la especie Octopus cyanea. Tradicionalmente vistos como criaturas solitarias, estos pulpos han demostrado una sofisticada capacidad para cazar en colaboración con diversas especies de peces. Los investigadores observaron que estos cefalópodos no solo trabajaban en equipo con los peces, sino que también usaban golpes para mantener el orden y la concentración durante la caza.
Eduardo Sampaio, investigador postdoctoral en el Instituto Max Planck de Comportamiento Animal y autor principal del estudio, explicó que los pulpos, a menudo conocidos como pulpo azul grande o pulpo diurno, no cazaban solos, sino que formaban grupos de caza que incluían varias especies de peces de arrecife, como meros de puntas negras y salmonetes. Este hallazgo desafía la idea común de que los pulpos prefieren la soledad y evitan a otros miembros de su especie.
De acuerdo con NBC News, el estudio documenta un comportamiento cooperativo entre pulpos y peces que hasta ahora no había sido observado.
Metodología del estudio
Para llevar a cabo la investigación, el equipo de Sampaio buceó durante aproximadamente un mes en un arrecife frente a la costa de Eilat, Israel. Los investigadores rastrearon a 13 pulpos durante un total de 120 horas utilizando varias cámaras. Durante este tiempo, observaron 13 cacerías en las que participaron entre dos y diez peces trabajando con cada pulpo. Este seguimiento detallado permitió a los científicos recopilar datos precisos sobre las interacciones entre los pulpos y los peces en un entorno natural, lo cual es fundamental para comprender la verdadera magnitud de esta cooperación.
Según la revista Nature, este enfoque metodológico ha sido crucial para obtener observaciones detalladas y precisas en el hábitat natural de los pulpos.

Comportamiento de los pulpos en los grupos de caza
El estudio documentó cómo los pulpos golpeaban a sus compañeros de caza para mantener el orden social y asegurar la eficiencia del grupo en la búsqueda de alimento. Principalmente, los meros de puntas negras recibieron la mayoría de los golpes, ya que son depredadores que tienden a acechar sin moverse, lo cual podía interrumpir la dinámica del grupo.
Este comportamiento demuestra un nivel de organización y control que no se había observado anteriormente en cefalópodos. Los investigadores notaron que estos golpes eran más frecuentes cuando el grupo estaba muy quieto; si los peces se mantenían en movimiento, los pulpos no necesitaban intervenir.
Según CNN, este descubrimiento sugiere un nivel de inteligencia en los pulpos comparable al de algunos vertebrados.
Beneficios mutuos
Los investigadores creen que esta cooperación ofrece beneficios tanto para los pulpos como para los peces. Los peces se benefician porque el pulpo puede acceder a grietas y espacios donde las presas se esconden, facilitando así la obtención de comida. Por otro lado, el pulpo puede seguir a los peces y beneficiarse de su capacidad para encontrar presas sin necesidad de realizar una búsqueda especulativa en solitario.
Sampaio señaló que este comportamiento permite al pulpo observar a los peces y ahorrar energía, lo cual podría ser una estrategia evolutiva beneficiosa. En palabras de NBC News, esta interacción simbiótica aporta nuevas perspectivas sobre la evolución de comportamientos cooperativos.

Análisis de datos
Después de registrar las escenas de caza en video, los científicos introdujeron las imágenes en un software que crea representaciones tridimensionales de las interacciones. Utilizando otro programa, rastrearon a cada animal y registraron sus posiciones relativas. Estos datos permitieron a los investigadores medir la cercanía entre las criaturas y cómo se movían en el grupo de caza.
Los resultados mostraron que el pez cabra azul se alejaba y guiaba al grupo, pero los peces regresaban si el pulpo no lo seguía de inmediato. En contraste, los salmonetes eran los exploradores que encontraban las presas, mientras que el pulpo decidía cuándo y dónde moverse.
De acuerdo con la revista Nature, el análisis tridimensional de los datos fue esencial para entender las dinámicas de movimiento y colaboración entre los pulpos y los peces.
Implicaciones y preguntas futuras
El estudio ha generado nuevas preguntas, tales como si determinados pulpos tienen compañeros de caza preferidos. Sampaio se preguntó si los pulpos reconocen a individuos específicos y si prefieren cazar con ciertos peces debido a experiencias previas exitosas. Otra incógnita es si este comportamiento colaborativo es aprendido o innato. Sampaio cree que es probable que sea aprendido, ya que los pulpos más pequeños parecen tener más dificultad para colaborar que los más grandes.
Según NBC News, Jonathan Birch, profesor de filosofía en la London School of Economics que estudia la sensibilidad animal, valoró la cantidad de evidencia en video y la cuidadosa codificación del comportamiento observada en este estudio fuera de un entorno de laboratorio. Birch destacó que los pulpos son más expresivos en su hábitat natural y capaces de conductas más complejas. Este estudio proporciona evidencias que apoyan la hipótesis del cerebro social, que sugiere que varios animales desarrollaron cerebros más grandes para procesar información social y colaborar dentro de sus especies.
Últimas Noticias
Zelensky acusó a Rusia de suministrar drones Shahed a Irán con mejoras tecnológicas
El presidente ucraniano asegura tener pruebas de que Moscú fabricó bajo licencia iraní los aparatos usados contra bases de Estados Unidos en Medio Oriente, y abre la puerta a una alianza con Israel en la guerra contra los drones

La Unión Europea sancionó a 16 funcionarios y tres entidades iraníes más por la represión de las protestas de enero
El bloque europeo amplía su lista negra hasta 263 personas y 53 entidades, con nuevas medidas contra comandantes de la Guardia Revolucionaria, jueces y una empresa de vigilancia digital, en la respuesta más sostenida de Bruselas a la represión iraní desde 2011
¿Agua en el desierto? Así funciona la máquina que promete revolucionar el acceso en zonas vulnerables
La tecnología de marcos metálicos-orgánicos permite obtener cientos de litros diarios en áreas remotas, sin contaminación ni alto consumo energético

Tommy Shelby bajo el microscopio: el arte más pequeño del mundo une a Peaky Blinders y el rescate animal en una muestra solidaria
La exposición en Halesowen exhibe una microscultura única inspirada en el protagonista de la serie, creada con herramientas insólitas y destinada a apoyar el refugio Monarch’s Mutts Dog Rescue en Reino Unido

Así se eligen los nuevos símbolos de Inglaterra: cómo una campaña busca desafiar los estereotipos para unir generaciones
La iniciativa A Very English Chat convoca a la ciudadanía a proponer objetos que se identifiquen con la diversidad y el cambio cultural




