
Este martes 8 de octubre continuarán las lluvias en prácticamente todo el país debido a la presencia del Huracán Milton Categoría 4 a kilómetros de la Península de Yucatán, pero también por una zona de baja presión con alto potencial para desarrollo ciclónico y la entrada de humedad proveniente de ambos litorales; el Servicio Meteorológico Nacional (SMN) indicó que también habrá temperaturas contrastantes hoy, ya que algunas zonas altas estarán bajo cero y algunos estados, principalmente del noroeste y occidente, registrarán hasta 45 grados.
Pronóstico de lluvias y vientos
- Lluvias muy fuertes con puntuales intensas (75 a 150 mm): Jalisco, Yucatán y Quintana Roo (norte)
- Lluvias fuertes con puntuales muy fuertes (50 a 75 mm): Nayarit, Colima, Michoacán, Guerrero, Oaxaca y Campeche
- Intervalos de chubascos con lluvias puntuales fuertes (25 a 50 mm): Sinaloa, Durango, Zacatecas, Estado de México, Ciudad de México, Morelos, Puebla, Veracruz, Tabasco y Chiapas
- Intervalos de chubascos (5 a 25 mm): Aguascalientes, Guanajuato y Tlaxcala
- Lluvias aisladas (0.1 a 5 mm): Baja California Sur, Sonora, Chihuahua, Nuevo León, Tamaulipas, San Luis Potosí, Querétaro e Hidalgo
- Viento con rachas de 180 a 200 km/h, oleaje de 6 a 8 metros de altura y posible formación de trombas marinas: costas Yucatán y Quintana Roo (norte); con rachas de 120 a 150 km/h, oleaje de 4 a 6 metros de altura y posible formación de trombas marinas: costas de Campeche (norte); y con rachas de 60 a 80 km/h y oleaje de 1 a 3 metros de altura: costas de Veracruz y Tabasco
- Viento con rachas de 40 a 60 km/h y oleaje de 1 a 3 metros de altura: costas de Colima y Jalisco
- Viento con rachas de 40 a 60 km/h: istmo y golfo de Tehuantepec (Oaxaca y Chiapas); y con posibles tolvaneras: Baja California, Coahuila, Nuevo León, Tamaulipas, San Luis Potosí, Zacatecas y Durango
“Las lluvias pronosticadas podrían estar acompañadas con descargas eléctricas, rachas fuertes a muy fuertes de viento y posible caída de granizo; asimismo, las lluvias fuertes a intensas podrían ocasionar encharcamientos, inundaciones y deslaves, así como incremento en los niveles de ríos y arroyos. Las fuertes rachas de viento podrían derribar árboles y anuncios publicitarios”, alertó el organismo de la Comisión Nacional del Agua (Conagua) en su primer pronóstico del día.

Las temperaturas para hoy
El Meteorológico Nacional indicó que se esperan las siguientes temperaturas para este martes:
- Máximas de 40 a 45 grados: Baja California, Baja California Sur, Sonora y Sinaloa
- Máximas de 35 a 40 grados: Chihuahua (occidente)
- Máximas de 30 a 35 grados: Durango (occidente), Coahuila, Nuevo León, Tamaulipas, San Luis Potosí, Nayarit, Guerrero, Oaxaca, Chiapas, Veracruz y Quintana Roo
- Mínimas de -5 a 0 grados: zonas montañosas de Chihuahua y Durango
- Mínimas de 0 a 5 grados: zonas montañosas de Estado de México, Tlaxcala, Puebla e Hidalgo
Actividad ciclónica para este martes
De acuerdo con el SMN, se mantiene vigilancia en el Océano Atlántico debido a la presencia de los siguientes sistemas:
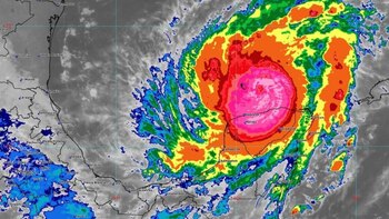
- Huracán Milton Categoría 4: se ubica a 120 kilómetros al norte de Dzilam y a 120 kilómetros al nor-noroeste de Río Lagartos, Yucatán. Presenta vientos máximos sostenidos de 230 km/h y rachas de hasta 280 km/h; sigue avanzando hacia el este-noreste a 19 km/h; aunque ya se descartó que toque tierra en México, sus bandas nubosas afectan Yucatán, Quintana Roo y Campeche
- Zona de baja presión al este de la Península de Florida con 20 por ciento de probabilidad para desarrollo ciclónico en 48 horas y siete días; se localiza a mil 135 kilómetros al noreste de Cancún, Quintana Roo
- Se prevé la formación de una zona de baja presión en el Atlántico oriental; actualmente tiene 20 por ciento de probabilidad para desarrollo ciclónico en siete días
Mientras que en el Océano Pacífico se vigila:
- Zona de baja presión frente a las costas de Michoacán, Colima y Jalisco con 70 por ciento de probabilidad para desarrollo ciclónico en 48 horas y siete días; se localiza a 169 kilómetros al oeste de Playa Pérula, Jalisco, y se desplaza lentamente hacia el noroeste
Más Noticias
Periodistas en Querétaro condenan expresiones misóginas y exigen respeto en medios locales
La protesta ocurrió por parte de comunicadoras locales por comentarios atribuidos a Mario León Leyva, identificado como director del Diario de Querétaro

Aquivaldo Mosquera, ex jugador del América, revela por qué fue citado en la Fiscalía
La gran figura americanista fue citado ante las autoridades para resolver asuntos pendientes ante la FGR

Ricardo Anaya califica al Plan B como “la iniciativa más pobre, chafa, mal hecha, peor elaborada, que ha mandado la presidenta de la República”
La declaración hecha por el senador refleja preocupaciones sobre omisiones técnicas y presuntos beneficios otorgados a Morena

Localizan a menor desaparecida en Guanajuato: intentaba viajar con su novio desde la Central de Autobuses del Norte
Según las indagatorias, la joven de 14 años buscaba comprar un boleto con destino a León

El pueblo originario de los Colosio en Sonora: por qué Morena descalifica candidatura de Luis Donaldo
Movimiento Ciudadano impulsa al senador como uno de sus perfiles más competitivos en el norte del país



