
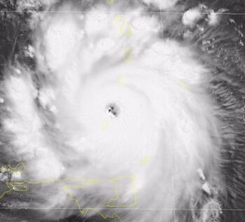
Las autoridades meteorológicas de Estados Unidos (EEUU) han avisado de que el huracán 'Beryl' acaba de tocar tierra en la isla caribeña de Carriacou. Previamente, habían informado de que el huracán se ha fortalecido hasta convertirse en uno de categoría 4 "extremadamente peligroso". Concretamente, el huracán ha tocado tierra a las 17:10 hora española, según ha informado Centro Nacional de Huracanes de EEUU a través de 'X' a partir de imágenes de satélite y datos de radar. Datos de las aeronaves 'caza huracanes' de la Reserva del Ejército del Aire estadounidense indican que las rachas de viento máximas sostenidas por 'Beryl' han aumentado a 240 kilómetros por hora (km/h). Previamente, el organismo había instado a los residentes de las Granadinas y de la isla de Carriacou a no abandonar sus refugios, ya que las rachas de viento aumentarán rápidamente con el paso del ojo de 'Beryl'. "No se desplace mientras se desarrollan estas condiciones potencialmente mortales y no se aventure en el ojo de la tormenta", había exhortado la institución. 'Beryl' es el primer huracán de la temporada atlántica de 2024 y el huracán de esta envergadura más tempranero desde 1966.
Últimas Noticias
Un menor palestino muerto por disparos de militares israelíes en Cisjordania
Autoridades palestinas reportan la muerte de Ammar Yaser, un joven de 16 años, tras recibir un disparo en el pecho durante una operación militar israelí en Tuqu, cerca de Belén, mientras continúa la tensión en la región

La UE asume que se forzará a Ucrania a renunciar a la OTAN y se compromete a apoyar su seguridad
Bruselas discute proporcionar respaldos firmes a Kiev, incluyendo ayuda militar y compromisos prácticos, mientras la presión internacional apunta a un acuerdo de paz con Moscú y se estudia emplear fondos bloqueados rusos para apoyar la reconstrucción ucraniana

El FBI detiene a cuatro personas vinculadas a un grupo propalestino que planeaban atentados en Los Ángeles
La fiscal general Pam Bondi informó que una célula del Frente de Liberación de Isla Tortuga planeaba llevar a cabo ataques coordinados durante Nochevieja con explosivos en California, objetivo frustrado gracias a una operación de inteligencia y cooperación interinstitucional

El lateral español Sergio Reguilón ficha por el Inter de Miami
El defensor de 28 años, proveniente del fútbol inglés y español, llega a Estados Unidos dispuesto a fortalecer la zaga, cubrir la baja de Jordi Alba y aportar su experiencia al plantel que lideran Javier Mascherano y Lionel Messi

Ucrania - Zelenski destaca las "productivas", aunque "no fáciles", negociaciones con EEUU
En el foro de Berlín, el mandatario ucraniano enfatizó que los recientes encuentros diplomáticos buscan concretar una salida pacífica al conflicto, reconociendo la complejidad y los desafíos existentes, mientras las delegaciones continuará analizando propuestas estadounidenses para estabilizar la región
