
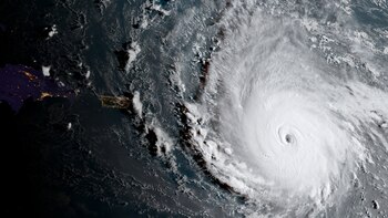
El huracán Irma, el más poderoso del que se tenga registro en el Océano Atlántico, tocó tierra el miércoles de madrugada en islas en el nordeste del Caribe, avanzando en una ruta hacia Puerto Rico, República Dominicana, Haití y Cuba, antes de posiblemente dirigirse a Florida el fin de semana.
Decenas de videos comienzan a conocerse en las últimas horas que muestras las secuelas que dejó a su paso. Casas destruidas, techos que desaparecieron en un instante… inundaciones, devastación.
El ojo del huracán pasó sobre Barbuda en torno a las 1:47 de madrugada (5.47 GMT), según el Servicio Nacional Meteorológico de Estados Unidos. Vecinos de la zona dijeron en la radio local, que las líneas telefónicas se habían caído. Aguaceros y fuertes vientos castigaron la vecina isla de Antigua, levantando escombros por los aires mientras la gente se resguardaba en casa o en refugios del gobierno.
A continuación, algunos de los videos que muestran la devastación provocada por Irma.
LEA MÁS:
Últimas Noticias
Qué sindicatos van a parar este miércoles por la movilización de la CGT contra la reforma laboral
Los trenes y los colectivos funcionarán normalmente, pero decidieron paros parciales en el sector aeronáutico, marítimo, portuario y en los subtes. Habrá huelga de 24 horas de la UOM y de los estatales de ATE, entre otros

La poco conocida historia del abuelo médico de Perón que luchó contra la fiebre amarilla y fue distinguido por Sarmiento
Tomás Liberato Perón era un joven médico cuando en 1871 Buenos Aires sufrió la peor epidemia de esa enfermedad. Su novedosa mirada como sanitarista y su lucha contra la contaminación del Riachuelo

Discreción y proximidad a las fronteras: por qué registraron actividad del Tren de Aragua en Corrientes
La Justicia Federal correntina desarticuló una banda y capturó a dos “lobos solitarios” vinculados a la organización terrorista en dos años. Cuáles son las claves para la elección del territorio

Consejo de Estado rechaza demanda contra resolución que inscribió comité promotor de la Asamblea Constituyente
El alto tribunal concluyó que la decisión de la Registraduría solo verificó requisitos formales y no resolvió el fondo de la iniciativa, por lo que se trata de un acto de trámite que no puede ser objeto de control judicial y permite que el proceso de recolección de firmas continúe

Descubre los afortunados ganadores del último sorteo de Tris
Enseguida los resultados de todos los sorteos de Tris dados a conocer por la Lotería Nacional y averigue si ha sido uno de los ganadores



